Tautan-tautan Akses

Badai Genevieve Ancam Kawasan Semenanjung di Meksiko


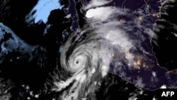
Citra satelit RAMMB/NOAA yang diperoleh pada 19 Agustus 2020 ini menunjukkan Badai Genevieve bergerak menuju Baja California pada 19 Agustus 2020. (Foto: AFP)
Citra satelit RAMMB/NOAA yang diperoleh pada 19 Agustus 2020 ini menunjukkan Badai Genevieve bergerak menuju Baja California pada 19 Agustus 2020. (Foto: AFP)

Para peramal cuaca mengawasi dengan cermat Badai Genevieve di Pasifik, yang menimbulkan gelombang laut besar dan menyebabkan dua orang tenggelam.

Pusat Badai Nasional AS menyatakan peringatan badai berlaku di beberapa bagian semenanjung Meksiko, termasuk di kawasan peristirahatan Los Cabos dan kota Todos Santos.

Para pejabat Perlindungan Sipil di Los Cabos mendesak masyarakat agar tetap berada di rumah.

Pusat Badai menyatakan bahwa pusat Genevieve diperkirakan akan bergerak ke sekitar Semenanjung Baja California, hari Kamis (20/8).

Peringatan badai tropis diberlakukan di pesisir barat Semenanjung Baja California, mulai dari sebelah utara Todos Santos hingga ke Cabo San Lazaro.

Para peramal cuaca memperingatkan hujan lebat yang ditimbulkan Genevieve dapat menimbulkan berbagai kondisi yang mengancam jiwa, di antaranya banjir, tanah longsor dan arus pecah (rip current) di ujung selatan Baja California.

Genevieve terbentuk menjadi badai tropis pada Minggu malam dan segera menguat menjadi badai kategori 4 sebelum kemudian melemah. [uh/ab]

Recommended

XS
SM
MD
LG